MOŻLIWOŚĆ ZAKUPU NA RATY!
Cena przy zakupie gotówką: od 49999 zł
Cena przy płatności na raty:
Opłata wstępna: 13 000 zł
Raty: 24 raty po 2166 zł
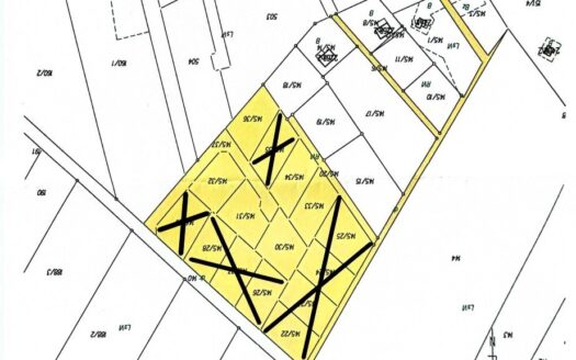
Na sprzedaż malownicze działki budowlane. Idealne do zamieszkania lub inwestycję w grunt!
To wyjątkowe miejsce, idealne dla osób poszukujących ciszy, spokoju i bliskości natury.
Kameralny kompleks 11 działek znajdujący się 25km od Brzóze Małe.
Walory lokalizacji:
Otoczenie lasów: Działki położone są w sąsiedztwie pięknych, pachnących lasów, które zachęcają do spacerów, grzybobrania czy wycieczek rowerowych.
Spokój i cisza: Idealne miejsce do odpoczynku z dala od miejskiego zgiełku. Kaczka to wieś o spokojnym, sielskim charakterze, idealna dla miłośników natury.
Czyste powietrze: Oddychanie tutaj to czysta przyjemność – okolica jest wolna od przemysłowego zanieczyszczenia.
Bliskość natury i wiejskiego życia: Możliwość kontaktu z naturą, urok wiejskiego krajobrazu i bliskość lokalnych atrakcji to dodatkowy atut.
Doskonała lokalizacja pozwala cieszyć się urokami natury, jednocześnie pozostając w niedalekiej odległości od większych ośrodków miejskich.
Media:
Działki posiadają możliwość uzbrojenia w prąd.
Wodociąg przebiega wzdłuż działek, co znacznie ułatwia dostęp do bieżącej wody i czyni działki jeszcze bardziej funkcjonalnymi.
Idealna inwestycja w grunt:
Działki to nie tylko przestrzeń do budowy wymarzonego domu czy domku letniskowego, ale również doskonała forma inwestycji. Ziemia w tej okolicy stale zyskuje na wartości, dzięki czemu zakup może być korzystnym rozwiązaniem na przyszłość.
Działki będą miały posadzoną trawę.
Istnieje możliwość ogrodzenia działek.
- Principal and Interest
- Property Tax
- HOA fee




























