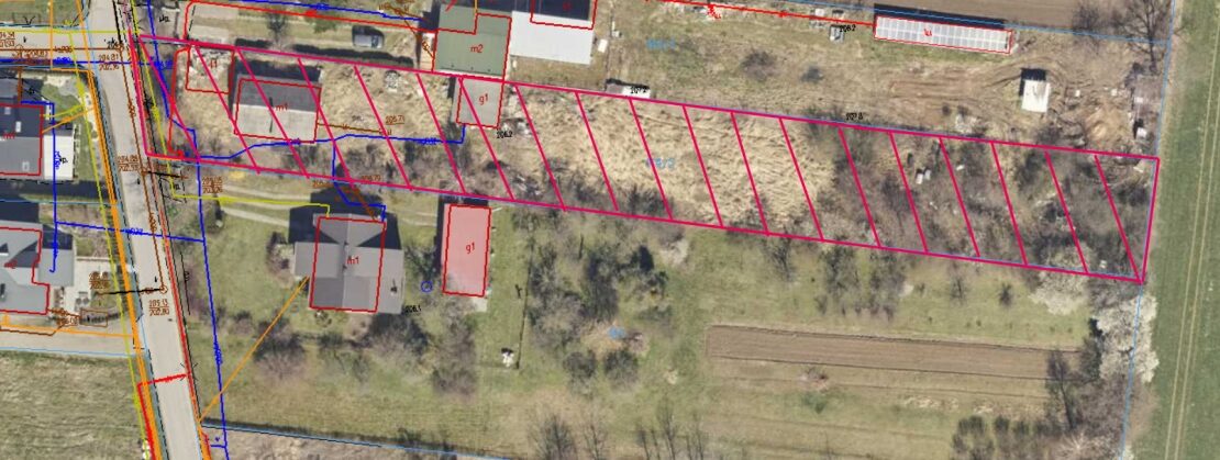
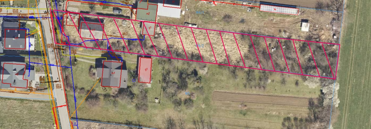
Działka budowlana z dwoma budynkami w złym stanie technicznym do rozbiórki, położona w ścisłej zabudowie mieszkaniowej jednorodzinnej w dzielnicy Krasnegostawu Zastawie Przedmieście przy ulicy Łukasińskiego w pobliżu pól uprawnych na lekkim zboczu, w kształcie długiego prostokąta. Działka posiada doprowadzone media (prąd, woda z wodociągu miejskiego, możliwość podpięcia się pod sieć gazową z przebiegającego tam gazociągu). Istnieje również możliwość podłączenia się do kanalizacji miejskiej. Zapraszam do prezentacji.
Energy Class: A+
Energy class A+
A+A
B
C
D
E
F
G
H
Property Id : 155966
Price: 160 000 zł
Property Size: 2 337 m2
Other Features
budowlana
piętro: /
rok budowy:
rynek:
820.35 zł
per month- Principal and Interest
- Property Tax
- HOA fee
620.35 zł
niedz.
19
kwi
pon.
20
kwi
wt.
21
kwi
śr.
22
kwi
czw.
23
kwi
pt.
24
kwi
sob.
25
kwi
niedz.
26
kwi
pon.
27
kwi
wt.
28
kwi






















