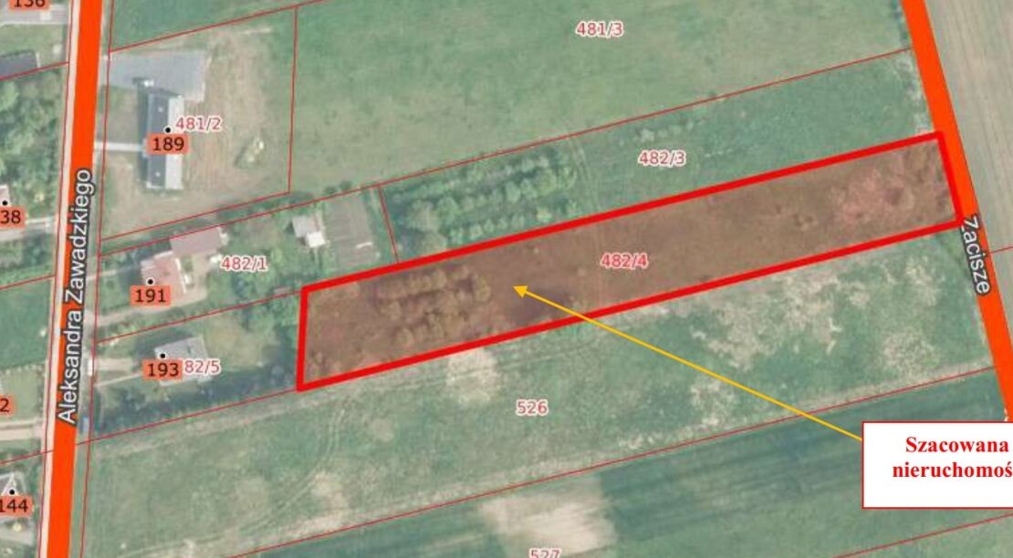
Syndyk masy upadłości w ramach postępowania upadłościowego prowadzonego na podstawie postanowienia Sądu Rejonowego dla Krakowa – Śródmieścia w Krakowie, VIII Wydział Gospodarczy z dnia 12 lipca 2024 roku o ogłoszeniu upadłości osoby fizycznej nieprowadzącej działalności gospodarczej – sygn. akt KR1S/GUp/83/2024 sprzeda z wolnej ręki nieruchomość gruntową niezabudowaną, składającą się z działki o nr 482/4, o powierzchni 0,5004 ha położoną w Nowej Wsi, gmina Mierzęcice, powiat będziński, województwo śląskie, opisaną księgą wieczystą o numerze CZ1Z/00077783/4 prowadzoną przez Sąd Rejonowy w Zawierciu, V Wydział Ksiąg Wieczystych.
Szczegółowy opis przedmiotu sprzedaży i jego wycena zawarte są w operacie szacunkowym, który znajduje się do wglądu w kancelarii syndyka przy ul. Goldhammera 10/4 w Tarnowie (tel.: 606876456, adres email: konkursofertsjz@op.pl.
Sprzedaż nieruchomości odbędzie się w formie konkursu ofert, za cenę nie niższą niż 65 278,00 zł (sześćdziesiąt pięć tysięcy dwieście siedemdziesiąt osiem złotych zero groszy). Warunkiem przystąpienia do konkursu jest złożenie oferty w języku polskim, w terminie do dnia 10 lutego 2026 r. do godziny 11.30, w kancelarii syndyka przy ul. Goldhammera 10/4 w Tarnowie i wpłacenie w tym terminie wadium w wysokości 6 500,00 zł na konto funduszy masy upadłości. Szczegółowy regulamin konkursu ofert znajduje się w kancelarii syndyka.
Oferty można też przesłać listem poleconym na adres kancelarii syndyka z tym, że o ważności dotrzymania terminu złożenia oferty decyduje data wpływu oferty do kancelarii, a nie data jej nadania.
O ważności wpłaty wadium decyduje data uznania konta funduszów masy upadłości.
Otwarcie i rozpoznanie ofert nastąpi w dniu 10 lutego 2026 r. o godz. 12.30 w Kancelarii Syndyka przy ul. Goldhammera 10/4 w Tarnowie.
Syndyk zastrzega sobie prawo do odstąpienia od konkursu ofert lub unieważnienia konkursu ofert bez podawania przyczyn na każdym etapie postępowania, tj. do momentu podpisania umowy przeniesienia własności przedmiotu konkursu.
- Principal and Interest
- Property Tax
- HOA fee






















